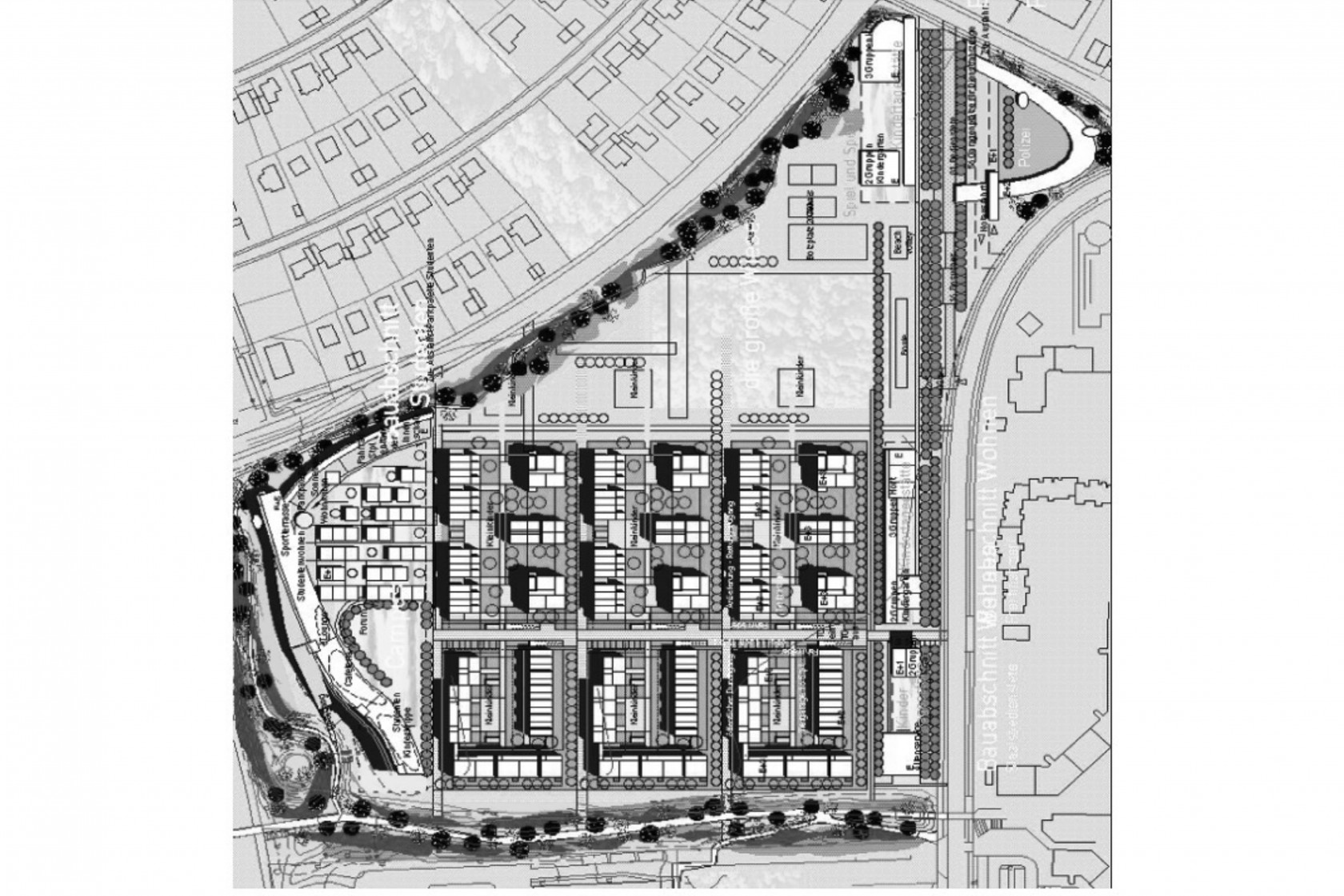
Bebauung Stiftsbogen

MÜNCHEN HADERN 2002 Bearbeitung mit Landschaftsarchitekten Brandhoff&Voß

Besonderheiten

Städtebaulicher Ideenwettbewerb zur Bebauung eines Areals südlich der Autobahn mit Studentenwohnungen, Freiem Wohnungsbau, Polizeiverwaltung